HURACÁN
Huracán Ian se fortaleció y alcanzó categoría cuatro que es "extremadamente peligrosa"
Está pronosticado que la tormenta toque tierra el miércoles y que avance por Florida para volver al mar por la costa del oeste de este estado del sur de Estados Unidos a finales de jueves.
Siga a EL PAÍS en Google Discover y no se pierda las últimas noticias

28 de sept de 2022, 06:04 a. m.
Actualizado el 31 de dic de 2024, 12:56 a. m.
Noticias Destacadas
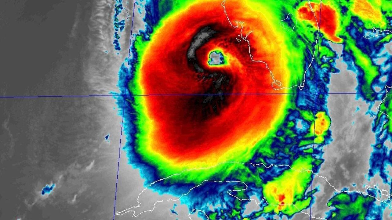
El huracán Ian se fortaleció y alcanzó la categoría cuatro, en una escala de cinco, en su rumbo hacia Florida este miércoles, donde los pronósticos auguran vientos "devastadores" después de que a su paso por Cuba la tormenta dejara dos muertos y millones de personas sin electricidad.
A primeras horas de este miércoles se emitió una orden de evacuación para una docena de condados de la costa de Florida, con una recomendación de evacuación voluntaria para varias otras localidades, según los servicios de emergencia.
Casi de forma simultánea el Centro Nacional de Huracanes de Estados Unidos (NHC) informó que "Ian se ha fortalecido para alcanzar la extremadamente peligrosa categoría cuatro".
Lea además: Video: Las impactantes imágenes que dejó el paso del huracán Ian por Cuba
Según los datos más recientes, del avión Hurracan Hunter de la fuerza aérea, los vientos máximos sostenidos han aumentado hasta alcanzar los 220 kilómetros por hora.
Está pronosticado que la tormenta toque tierra el miércoles y que avance por Florida para volver al mar por la costa del oeste de este estado del sur de Estados Unidos a finales de jueves.
El NHC había advertido que se esperan "una marejada ciclónica que suponga un peligro para la vida en la costa occidental de Florida y en los Cayos bajos de Florida", con vientos "devastadores" en el centro del huracán.
"Se esperan inundaciones catastróficas en varias zonas del centro de Florida", añadió.
El gobernador de Florida, Ron DeSantis, declaró el lunes estado de emergencia en decenas de condados y en la noche del martes advirtió a quienes están en las zonas que se proyectan como las más afectadas que el "tiempo de evacuar se está agotando".
Lea también: El covid-19 redujo la esperanza de vida en América, según informe de la OPS
"Es necesario evacuar ahora. Van a comenzar a sentirse impactos importantes de la tormenta relativamente pronto", dijo.
La administradora de la Agencia Federal de Gestión de Emergencias estadounidense (FEMA), Deanne Criswell, se expresó en el mismo sentido. "Si las autoridades locales le dicen a la gente que evacue, por favor escúchenlos. La decisión que tomen puede marcar la diferencia entre la vida y la muerte", agregó.
El Pentágono movilizó a 3.2000 guardias nacionales y hay otros 1.800 efectivos en camino. Además, las autoridades de varios municipios distribuían bolsas de arena para ayudar a los habitantes a proteger sus viviendas.
Reportera Web
6024455000






